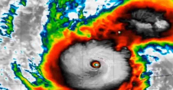
# L’uragano Milton colpisce la Florida: Scende a categoria 2 ma resta pericoloso. L’uragano Milton ha raggiunto la Florida, passando dalla categoria 3 alla 2, quindi è meno potente di prima, ma rimane molto pericoloso. I venti sono ancora fortissimi, superando i 200 km/h, e ci sono grossi rischi di mareggiate e inondazioni. Joe Biden ha definito Milton “la tempesta del secolo”, e ha chiesto alla gente di seguire gli avvertimenti e lasciare le zone più a rischio.
L’uragano Milton colpisce la Florida:Fuga di massa dalle zone più colpite
Milioni di persone stanno lasciando le zone costiere più esposte al pericolo. Sulle autostrade si formano lunghe code e molti distributori di benzina sono a secco. Le autorità hanno ordinato l’evacuazione per quasi 6 milioni di persone, ma non è chiaro quante abbiano già lasciato le loro case. Alcuni esitano per paura di non poter tornare a casa presto, ma le autorità avvisano che restare può essere mortale.
## Mareggiate e danni economici
Le autorità sono particolarmente preoccupate per le mareggiate, che potrebbero arrivare fino a 5 metri, il doppio di quelle dell’uragano Helene di qualche settimana fa. Se Milton dovesse colpire direttamente città come Tampa, i danni economici potrebbero essere immensi, tra i 50 e i 75 miliardi di dollari. Questo renderebbe Milton uno degli uragani più costosi della storia.
## Biden critica le false notizie su Milton
Il presidente Biden ha anche criticato le informazioni false che circolano sulla gestione dell’uragano. Ha definito “antiamericane” le bugie diffuse, che mettono in pericolo la vita delle persone. E quindi Biden si riferiva a Donald Trump, che ha accusato l’amministrazione di usare male i fondi per le emergenze, una notizia che Biden ha smentito.
Rifugi ancora disponibili, ma il tempo stringe
Nonostante i tanti avvisi, molti rifugi messi a disposizione dalle autorità sono ancora vuoti. Le persone sono invitate a raggiungerli velocemente, dato che le condizioni meteo peggiorano e il tempo per evacuare in sicurezza sta finendo.
Continua a leggere gli articoli visitando il sito newsdonna.it
